📢 ADVERTISE WITH US!   ✉️ info@canadavarthakal.ca   |   📞 +1 (905) 379-3765
📢 ADVERTISE WITH US!
✉️ info@canadavarthakal.ca   |   📞 +1 (905) 379-3765
Canada Varthakal
  • Home
  • Canada
    • Politics
    • Climate
    • Health
  • Provincial
    • Niagara
    • Ontario
    • Alberta
    • British Columbia
    • New Brunswick
    • Saskatchewan
    • Prince Edward Island
    • Manitoba
    • Quebec
    • Newfoundland and Labrador
    • Nova Scotia
  • Immigration
  • India
    • Kerala
    • Election ’26
  • World
  • Sports
  • Entertainment
  • Insight
  • Contact Us
  • Home
  • Canada
    • Politics
    • Climate
    • Health
  • Provincial
    • Niagara
    • Ontario
    • Alberta
    • British Columbia
    • New Brunswick
    • Saskatchewan
    • Prince Edward Island
    • Manitoba
    • Quebec
    • Newfoundland and Labrador
    • Nova Scotia
  • Immigration
  • India
    • Kerala
    • Election ’26
  • World
  • Sports
  • Entertainment
  • Insight
  • Contact Us
No Result
View All Result
Canada Varthakal
Home Canada

അറ്റ്‌ലാന്റിക്കിനെ വിഴുങ്ങി കാറ്റഗറി 3 ഗബ്രിയേൽ; കരയ്ക്ക് ഭീഷണിയാകില്ല

Canada Varthakal by Canada Varthakal
September 22, 2025
in Canada
Reading Time: 1 min read
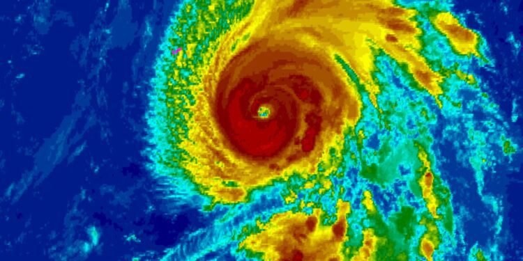
അറ്റ്‌ലാന്റിക്കിനെ വിഴുങ്ങി കാറ്റഗറി 3 ഗബ്രിയേൽ; കരയ്ക്ക് ഭീഷണിയാകില്ല

അറ്റ്‌ലാൻ്റിക് സമുദ്രത്തിൽ രൂപംകൊണ്ട ഗബ്രിയേൽ ചുഴലിക്കാറ്റ് ശക്തിപ്പെട്ട് കാറ്റഗറി 3 നിലയിലേക്ക് ഉയർന്നു. എങ്കിലും ഇത് കരയിലേക്ക് നീങ്ങാൻ സാധ്യതയില്ലെന്നാണ് കാലാവസ്ഥാ നിരീക്ഷണ കേന്ദ്രം അറിയിച്ചിരിക്കുന്നത്. തിങ്കളാഴ്ചയാണ് ഗബ്രിയേൽ ഒരു പ്രധാന ചുഴലിക്കാറ്റായി മാറിയത്. മണിക്കൂറിൽ 120 മൈൽ (191 കി.മീറ്റർ) വേഗതയിൽ ഗബ്രിയേലിൻ്റെ പരമാവധി കാറ്റ് വീശാൻ സാധ്യതയുണ്ടെന്ന് മയാമി ആസ്ഥാനമായുള്ള നാഷണൽ ഹറികെയ്ൻ സെൻ്റർ അറിയിച്ചു.

ഇതോടെ ഇത് അപകടകാരിയായ കാറ്റഗറി 3 ചുഴലിക്കാറ്റായി മാറി. നിലവിൽ ബെർമുഡയിൽ നിന്ന് ഏകദേശം 195 മൈൽ (314 കിലോമീറ്റർ) തെക്കുകിഴക്കായി സ്ഥിതിചെയ്യുന്ന ചുഴലിക്കാറ്റ് മണിക്കൂറിൽ 10 മൈൽ (16 കി.മീറ്റർ) വേഗതയിൽ വടക്കോട്ട് നീങ്ങുകയാണ്. ഞായറാഴ്ച ഗബ്രിയേൽ കാറ്റഗറി 1 ചുഴലിക്കാറ്റായി മാറിയിരുന്നു. തുടർന്ന് അറ്റ്‌ലാൻ്റിക്കിലെ ചൂടുള്ള ജലത്തിലൂടെ കടന്നുപോയതോടെ ഇത് കൂടുതൽ ശക്തി പ്രാപിക്കുകയായിരുന്നു.

ADVERTISEMENT

ബെർമുഡയുടെ കിഴക്ക് ഭാഗത്തുകൂടിയാണ് ഗബ്രിയേലിൻ്റെ സഞ്ചാരപാത. ചുഴലിക്കാറ്റിൽ നിന്നുള്ള തിരമാലകൾ ഞായറാഴ്ച തന്നെ ബെർമുഡയുടെ തീരത്തടിച്ച് തുടങ്ങി. കൂടാതെ വടക്കൻ കരോലിന മുതൽ കാനഡയുടെ അറ്റ്‌ലാൻ്റിക് തീരം വരെയുള്ള യുഎസ് കിഴക്കൻ തീരങ്ങളെയും ഇത് ബാധിക്കാൻ സാധ്യതയുണ്ടെന്ന് മുന്നറിയിപ്പുണ്ട്. കടൽത്തീരങ്ങളിൽ അപകടകരമായ തിരമാലകൾക്കും ശക്തമായ അടിയൊഴുക്കിനും സാധ്യതയുണ്ടെന്നും കാലാവസ്ഥാ നിരീക്ഷകർ മുന്നറിയിപ്പ് നൽകി.

ADVERTISEMENT

ഈ വർഷത്തെ അറ്റ്‌ലാൻ്റിക് ചുഴലിക്കാറ്റ് സീസൺ താരതമ്യേന ശാന്തമായിരുന്നു. ഗബ്രിയേലിന് മുമ്പ് ഈ സമുദ്രത്തിൽ ഒരു പ്രധാന ചുഴലിക്കാറ്റ് മാത്രമാണ് ഉണ്ടായിരുന്നത്. ഈ സീസൺ നവംബർ 30-ന് അവസാനിക്കും. ശക്തിയായ കാറ്റിന്റെയും തിരമാലകളുടെയും ഭീഷണി നിലനിൽക്കുന്നുണ്ടെങ്കിലും, ഗബ്രിയേൽ ചുഴലിക്കാറ്റ് കരയ്ക്ക് ഭീഷണിയാകാൻ സാധ്യതയില്ലെന്ന വിലയിരുത്തൽ തീരദേശവാസികൾക്ക് ആശ്വാസമാണ്. എങ്കിലും, അതീവ ജാഗ്രത പുലർത്തണമെന്ന് അധികൃതർ നിർദ്ദേശം നൽകിയിട്ടുണ്ട്.

കാനഡയിലെ ഏറ്റവും പുതിയ വാർത്തകൾക്കായി: https://chat.whatsapp.com/JNSnrvnSqw1DUJljLTLp82

Ad 1
Ad 2
Ad 3
Ad 4

Related Posts

ഭക്ഷ്യവില വർധന: സുസ്ഥിര ഉൽപ്പന്നങ്ങളെ കൈവിട്ട് കനേഡിയൻ ഉപഭോക്താക്കൾ
Canada

ഭക്ഷ്യവില വർധന: സുസ്ഥിര ഉൽപ്പന്നങ്ങളെ കൈവിട്ട് കനേഡിയൻ ഉപഭോക്താക്കൾ

by Canada Varthakal
April 22, 2026
From left: Jean Charest, Ralph Goodale, Lisa Raitt, P.J. Akeeagok and Erin O'Toole.
Canada

കാനഡ–യു.എസ് ബന്ധം മെച്ചപ്പെടുത്താൻ പുതിയ ഉപദേശക സമിതി; പ്രഖ്യാപനവുമായി മാർക്ക് കാർണി

by Canada Varthakal
April 21, 2026
അടുക്കള ബജറ്റ് താളം തെറ്റുന്നു; കാനഡയിലെ വടക്കൻ മേഖലകളിൽ അവശ്യസാധനങ്ങൾക്ക് തീവില
Canada

അടുക്കള ബജറ്റ് താളം തെറ്റുന്നു; കാനഡയിലെ വടക്കൻ മേഖലകളിൽ അവശ്യസാധനങ്ങൾക്ക് തീവില

by Canada Varthakal
April 21, 2026

Latest Videos

What we cover
Canada Immigration Updates & Policy Changes Provincial News from Across Canada Canada Housing, Economy & Job Market News Federal Policy Changes Malayali Community Updates in Canada Latest News from Kerala India-Canada Relations & Indian Community News World News and Global Developments Canada Immigration Updates & Policy Changes Provincial News from Across Canada Canada Housing, Economy & Job Market News Federal Policy Changes Malayali Community Updates in Canada Latest News from Kerala India-Canada Relations & Indian Community News World News and Global Developments
Canada Varthakal
Canada Varthakal
കാനഡയിലെ മലയാളി ശബ്ദം!

Canada's leading Malayalam news platform delivering breaking news, immigration updates, federal & provincial developments, and stories from the Malayali community across Canada — keeping Malayalees informed in their own language.

Quick Links
  • Home
  • Canada
  • Immigration
  • World
  • Sports
  • Entertainment
More
  • India
  • Provincial
  • Insight
  • About Us
  • Contact Us
  • Privacy Policy
Stay Updated

Get the latest Malayalam news from Canada delivered straight to your inbox. No spam, ever.

© 2026 Canada Varthakal. All Rights Reserved. Powered by Canada Varthakal Media.
Privacy Policy Terms & Conditions Contact
No Result
View All Result
  • Home
  • Canada
    • Politics
    • Climate
    • Health
  • Provincial
    • Niagara
    • Ontario
    • Alberta
    • British Columbia
    • New Brunswick
    • Saskatchewan
    • Prince Edward Island
    • Manitoba
    • Quebec
    • Newfoundland and Labrador
    • Nova Scotia
  • Immigration
  • India
    • Kerala
    • Election ’26
  • World
  • Sports
  • Entertainment
  • Insight
  • Contact Us

© 2025 Canada Varthakal. All Rights Reserved.